大同新增國家級項目 建設項目規劃已公示!
發布時間:2020-12-21 來源:0352房網 編輯:RUI
手機看文章
摘要:號外號外!大同將新增一國家級項目—山西省國家級軍糧綜合保障基地,目前該項目建設規劃許可已公示!具體情況一起來了解下吧!
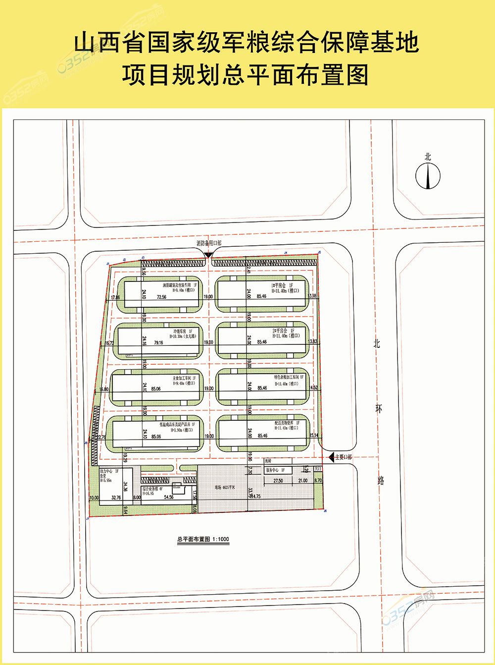
山西省國家級軍糧綜合保障基地
項目位置:大同市北環路西側、職業教育中心東北側
建設單位:大同市軍糧供應有限公司
規劃用地面積:51786㎡
總建筑面積:21385㎡
建筑系數:45.07%
容積率:0.73
綠地率:20.1%
停車位:102個
公示時間:2020年12月21日-2020年12月29日

規劃許可公示

項目規劃總平面布置圖

選址地址圖
以上就是山西省國家級軍糧綜合保障基地的項目建設規劃了!大同新建山西省國家級軍糧綜合保障基地,是為了落實國家糧食局、財政部、軍委后勤保障部展開的“軍民融合軍糧供應工程”。